 
						THE END TIMES
The NSW government has sacked Transport for NSW boss Rob Sharp after it confirmed a review of the Sydney Metro network, according to the SMH. Premier Chris Minns is reportedly going to announce it today, as well as the departure of Department of Education boss Georgina Harrisson (though the paper doesn’t say whether Harrisson was given the boot too, nor mention her again in the story for some reason). Meanwhile, the NSW Liberals still don’t have a leader. Former premier Dominic Perrottet stepped down after the election loss on March 25 and confirmed yesterday that an April 21 partyroom would see the successor named. Former NSW attorney-general Mark Speakman is the favourite, AAP via Perth Now reports, but he may choose not to run so he can have a tilt at Cook, the federal seat Scott Morrison is almost certainly going to quit soon.
From a grey-haired bloke we wish would disappear quietly to grey-haired folks we want to hold onto as long as possible — it will take up to a decade to find the staff needed to reach the Albanese government’s goal of 24/7 nurses in residential aged care homes, according to the peak nursing professional body. The goal was July 1, but Australian College of Nursing chief executive Kylie Ward reckons there’s “absolutely no way” (suggesting a shortfall of 10,000 nurses) and worries a lapsed deadline would see facilities forced to shut their doors, The Australian ($) reports. It’s tough times for aged care — two-thirds (66%) of privately owned facilities are running at a loss, and yesterday Wesley Mission was the latest to close all Sydney homes.
[free_worm]
ISLA TAKE COVER
Record-smashing winds of 285km/hr are thrashing Western Australia after tropical Cyclone Ilsa, then a category 5 storm, made landfall overnight. Residents are bracing for gusts reaching up to 315km/hr, Guardian Australia reports — compare that to the previous Australian record holder, Cyclone George, which saw 194km/hr winds in 2007. People living from Bidyadanga (just south of Broome), to Port Hedland and inland to Marble Bar were told to take shelter “in the strongest, safest part of the building,” and move barbecues inside because they can become “missiles in the air”. It’s a bit of a worry that Port Hedland is a “transient town”, Mayor Peter Carter says, with people from overseas who would be unfamiliar with such weather among the 16,000 residents.
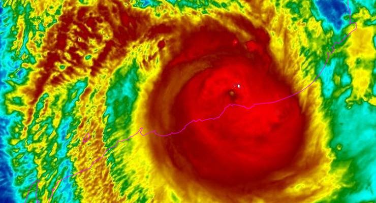
Check out the Bureau of Meteorology’s chilling radar image which shows a deep, blood-red cyclone in the middle. Fortunately, Ilsa will weaken “drastically” today, experts say — indeed it has been downgraded to a category 4 storm as of 12.58am WST, the ABC reports. So where is it headed next? Cyclonic conditions are expected to hit inland communities across the Pilbara over the coming days, the broadcaster continues, and 100 additional Department of Fire and Emergency Services (DFES) personnel were flown to the Kimberley and Pilbara so the region is ready for what will be a mammoth clean up. Not to be that guy, but intensified weather systems like this are just one inevitable consequence of climate inaction.
FINDING ONE’S VOICE
Liberal MP Julian Leeser wants the parliamentary inquiry into the Voice referendum to channel the High Court in testing the wording of the constitutional amendment, the SMH reports. He says “lawyers will be briefed by clients to make arguments about what those words mean” and we need to test them ahead of time. But top constitutional expert Anne Twomey, who is fronting the hearing today, says the wording contains no legal obligation for the government to listen to the Voice’s advisory body, Guardian Australia reports, despite conservatives’ fears. Indigenous Australians Minister Linda Burney agreed, saying loads of constitutional lawyers say the wording is fine. Meanwhile Sky News is melting down over Liberal outlier Bridget Archer retweeting a story in which NT Police Minister Kate Wordon calls Opposition Leader Peter Dutton’s “political game-playing” in Alice Springs a “dog act”. In the story, there were “multiple tweets describing the Liberal leader as a ‘dog’”, a scandalised Sky News says. Oh, the horror.
To other news and AFL great Eddie Betts has spoken to “Elders, community members and people I trust” and “listened to a range of opinions” to understand exactly what the Voice is and how it impacts First Nations folks, The Age reports. Betts is not saying the Voice is a cure-all, but it’s the right step — “the opening of a pathway to make sure we’re included and respected in decision-making on issues that affect us”. The support of the influential Betts is a significant moment for the “Yes” camp, particularly in AFL-mad Victoria. Meanwhile, the AFL’s “archaic” footy culture is preventing at least two gay players in every team from coming out, according to ex-Bomber Adam Cooney. He told the Herald Sun he found it telling that in the whole national competition, there’s not one openly gay player.
ON A LIGHTER NOTE
“Britain’s 2.7 million greys [squirrels] are on the rampage,” The Guardian’s Zoe Williams reports solemnly, “starting fires, flooding homes and destroying ancient trees. But is it really right to kill and eat them?”. So begins what is possibly the most compelling and deranged sentence to go to print this year — and that includes a former US president being charged with crimes. One insurance company reported a 51% spike in claims for squirrel damage, and Williams recounts a story where a pest controller had to decapitate a squirrel that had lunged its pint-sized teeth right through his thumb with no intention of letting go. What the heck is going on? Climate change intensifying storms is driving them from their attic homes, and they are keen breeders with no hibernation months to break up all the shagging, driving the tiny things to smash plates, rip furniture and pull TVs off the wall. Folks, I wish I was joking, but this is really what The Guardian is reporting.
Looking like a well-manicured rat with a lush bottlebrush tail that wouldn’t be out of place at fashion week, most tourists coo at cute little squirrels when they visit the UK or North America. But don’t be fooled, Williams says. They can “chew into a water tank and deliver half a ton of water into your living room; or nibble through a cable, electrify themselves, perish while locked on to the cable and burst into flames, like a miniature hog roast, in your dust-dry insulation”. Cripes. “They’re delicious, too,” a woodland manager named Paul adds. Williams lets that comment go right on by, but then another person she interviews suggests an older squirrel “makes a wonderful ragu”. Mostly, however, there’s no national appetite (sorry) to cull and consume squirrels, no matter how naughty they are. It seems the Brits will have to learn to love the chaotic pea brains. And update their home and contents insurance.
Wishing you the get-up-and-go of a squirrel today, and a restful weekend ahead.
SAY WHAT?
What we’ve seen over the last couple of days from Peter Dutton in central Australia is absolutely opportunistic, political game-playing, and using the most vulnerable people here in the heart of our nation as a pawn in that game. It’s quite frankly, a dog act.
Kate Worden
The NT police minister slammed the federal opposition leader for his “baseless” claims that “young Indigenous kids are being sexually assaulted on a regular basis” in Alice Springs and his description of the law and order problems in the town as a “travesty”. Worden said Dutton “has had no interest in Alice Springs for 10 years” — until now.
CRIKEY RECAP
Lachlan Murdoch ‘morally and ethically’ culpable for January 6 Capitol riot, Crikey argues
“Private Media’s updated defence leans on recent filings made in a separate lawsuit launched against Fox News by Dominion Voting Systems in the United States, to add a new defence known as ‘contextual truth’. The new defence will be mounted in addition to the defences of public interest and qualified privilege already pleaded.
“The filings relied upon include depositions from both Lachlan and his father Rupert, and Fox News CEO Suzanne Scott, which suggest that Lachlan was in regular contact with Scott to discuss the network’s coverage of the 2020 US election, from November 2020 up until rioters stormed the Capitol on January 6 2021.”
‘Violence, fixation and harassment’: internal AFP briefing reveals sovereign citizen concern
“In February last year, the AFP’s acting assistant commissioner, counter-terrorism & special investigations Stephen Dametto briefed a private online roundtable about sovereign citizens, a very loose group of extremists whose anti-government ideology is based on incorrect, pseudo-legal interpretations that delegitimise the Australian legal system and its institutions.
“Via a freedom of information request, Crikey obtained notes and the presentation from the AFP briefing, giving new insight into the force’s views on the sovereign citizens movement, its behaviours, and the likelihood of its adherents being involved in violence. The AFP declined to comment on the documents.”
Blaming misogyny for women leaving politics is misguided and patronising
“It seems reasonable to argue that between these women and their supporters is a wider gap of viewpoint and basic comportment to the world than there is between powerful men and male observers. Many, many men want power, few get it, and most imagine you’d hold on to it by all means. The women who want power in the same way are, one suspects, a smaller group, and those who aren’t in it have relatively less identification with those who are.
“The upshot is that decades after the emergence of second-wave feminism, there is now a sufficiently large pool of women who want power, seek it out, do what needs to be done to keep it, and who don’t need any excuses or special pleadings made for them. Yet in the current framework, they are being assessed by the logic that prevailed before second-wave feminism: that women are too sensitive to be in positions of power.”
THE COMMENTARIAT
Chalmers grapples with a budget where economics and politics pull in different directions — Michelle Grattan (The Conversation): “The economic backdrop for the May 9 budget is grim, although when it comes to the budget itself, things are probably not as dire as Chalmers sometimes paints them. The International Monetary Fund report, released this week, outlined an uncertain international outlook and forecast Australia’s growth at only 1.6% this year and 1.7% in 2024. Australia’s inflation was set to fall back more quickly than forecast by the Reserve Bank, shrinking to 4% by the end of the year and 3% by the end of 2024 …The treasurer wants to seize for Labor the ‘responsible economic manager’ mantle the Liberals always try to wear at election time.
“So in the budget decisions, some of which are still being taken, he is the man frowning at spending demands, encouraging savings, and wanting to bank as much as possible of any windfalls. Budget watchers will have an eye on any big interventions Anthony Albanese, with a concern about the politics, might make. Last year, Albanese shut down the flirtation with remodelling the stage 3 tax cuts due to start in mid 2024 (these are not on the table this time). The budget has long-term structural problems because of the projected growth in big spending areas, such as the National Disability Insurance Scheme and defence (with a revised capability program about to be announced).”
Women leaders are irreplaceable. Until that changes, there will never be enough — Licia Heath (The SMH): “Having run as an independent, I learnt firsthand the level of political knowledge needed, as well as the support network and funds required to run. Unfortunately, due to persistent economic disparity in Australia – women still earn 13% less than their male counterparts – they are not starting on a level playing field. In the lower house, 39% of independent candidates were women, and only 22% of all independents that have been elected to the lower house are women.
“However, it is noted that seven of the nine sitting independents went into the election with a significant margin and were reelected. Meanwhile, for the upper house, the Liberal Party fared much better, with 70% women on their ticket, while Labor achieved around a 50-50 gender split, and the Nationals making room for only 20% women on their ticket. However, in a contest where position on the party ticket means more than the sheer number of women on the ticket, the story is more complex, and I am pleased to note that all major parties will have at least 50% female representation in the upper house.”
READ ALL ABOUT IT
Women’s tennis events to make China return after Peng boycott (Al Jazeera)
Air National Guardsman suspected of leaking intel to be arrested Thursday (Reuters)
More New Zealanders working more than one job [because of inflation], data shows (Stuff)
US justice department to appeal to Supreme Court over abortion pill access (The Guardian)
Norway expels Russian ‘intelligence officers’ over security concerns (EuroNews)
The strange death and rebirth of the Liberal Party under Trudeau (CBC)
HOLD THE FRONT PAGE

WHAT’S ON TODAY
Kaurna Country (also known as Adelaide)
- 
South Australian Premier Peter Malinauskas, AFL CEO Gillon McLachlan, Carlton Football Club’s Patrick Cripps, AFL’s Laura Kane, and AFL Max’s James Podsiadly will speak at the business luncheon of the inaugural AFL Gather Round, held at the Adelaide Convention Centre. 
Eora Nation Country (also known as Sydney)
- 
Author Kylie Needham will chat to ABC’s Robbie Buck about her book, Girl in a Pink Dress, held at Better Read Than Dead bookshop. 










Crikey is committed to hosting lively discussions. Help us keep the conversation useful, interesting and welcoming. We aim to publish comments quickly in the interest of promoting robust conversation, but we’re a small team and we deploy filters to protect against legal risk. Occasionally your comment may be held up while we review, but we’re working as fast as we can to keep the conversation rolling.
The Crikey comment section is members-only content. Please subscribe to leave a comment.
The Crikey comment section is members-only content. Please login to leave a comment.